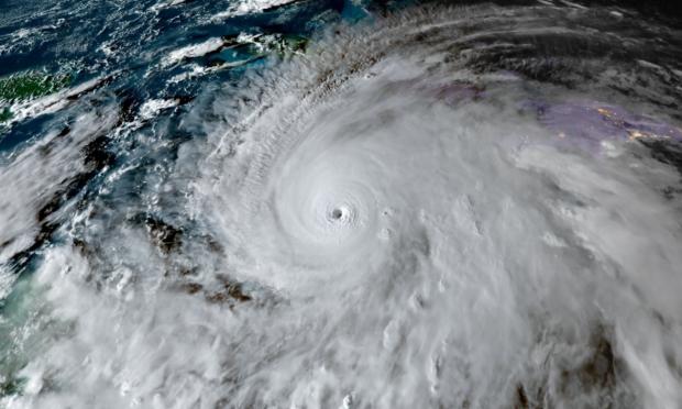
Συγκλονιστικές εικόνες από το εσωτερικό του «ματιού» του φονικού κυκλώνα Μελίσα καταγράφηκαν από ερευνητικό αεροσκάφος των Ηνωμένων Πολιτειών, σε μια αποστολή που κόβει την ανάσα.
Το αεροσκάφος P-3 Orion της 53ης Μοίρας Μετεωρολογικής Αναγνώρισης πέταξε τη Δευτέρα μέσα στον κυκλώνα για να συλλέξει κρίσιμα δεδομένα για το Εθνικό Κέντρο Τυφώνων (NOAA), με στόχο την καλύτερη κατανόηση και πρόβλεψη των ακραίων φαινομένων.
Το βίντεο, που δόθηκε στη δημοσιότητα, δείχνει το πλήρωμα να επιχειρεί μέσα σε σχεδόν μηδενική ορατότητα, καθώς το αεροσκάφος περιβάλλεται από ένα «τείχος» νεφών και δέχεται ισχυρές αναταράξεις. Παρά την πίεση, οι πιλότοι παραμένουν ατάραχοι, χειριζόμενοι το αεροσκάφος με απόλυτη ψυχραιμία.
Ο κυκλώνας Μελίσα έχει ήδη προκαλέσει τεράστιες καταστροφές και τουλάχιστον 30 νεκρούς στην Καραϊβική, αφήνοντας πίσω του ισοπεδωμένες περιοχές και χιλιάδες αστέγους.
Σε προηγούμενα βίντεο, οι «κυνηγοί τυφώνων» της NOAA είχαν καταγράψει το βίαιο ταρακούνημα του αεροσκάφους, καθώς τα όργανα και αντικείμενα εκσφενδονίζονταν στο εσωτερικό του θαλάμου διακυβέρνησης. Παρ’ όλα αυτά, το πλήρωμα συνέχισε την αποστολή του, αποδεικνύοντας το θάρρος και την επαγγελματική πειθαρχία των επιστημόνων που μελετούν τα πιο επικίνδυνα φαινόμενα του πλανήτη.
Οι εικόνες κάνουν τον γύρο του κόσμου, θυμίζοντας το τεράστιο ρίσκο που αναλαμβάνουν οι ερευνητές κάθε φορά που πετούν μέσα στην «καρδιά» ενός κυκλώνα για χάρη της επιστήμης και της πρόγνωσης.
 
  
  
  
  
  
  
  
  
  
  
  
  
 